Posiedzenie rady technicznej w siedzibie Zarządu Dróg Wojewódzkich w Łodzi
Archiwum
15.09.2025 Data publikacji, 15.09.2025 , spopoczno Autor, spopoczno , 255 Ilość wyświetleń, 255
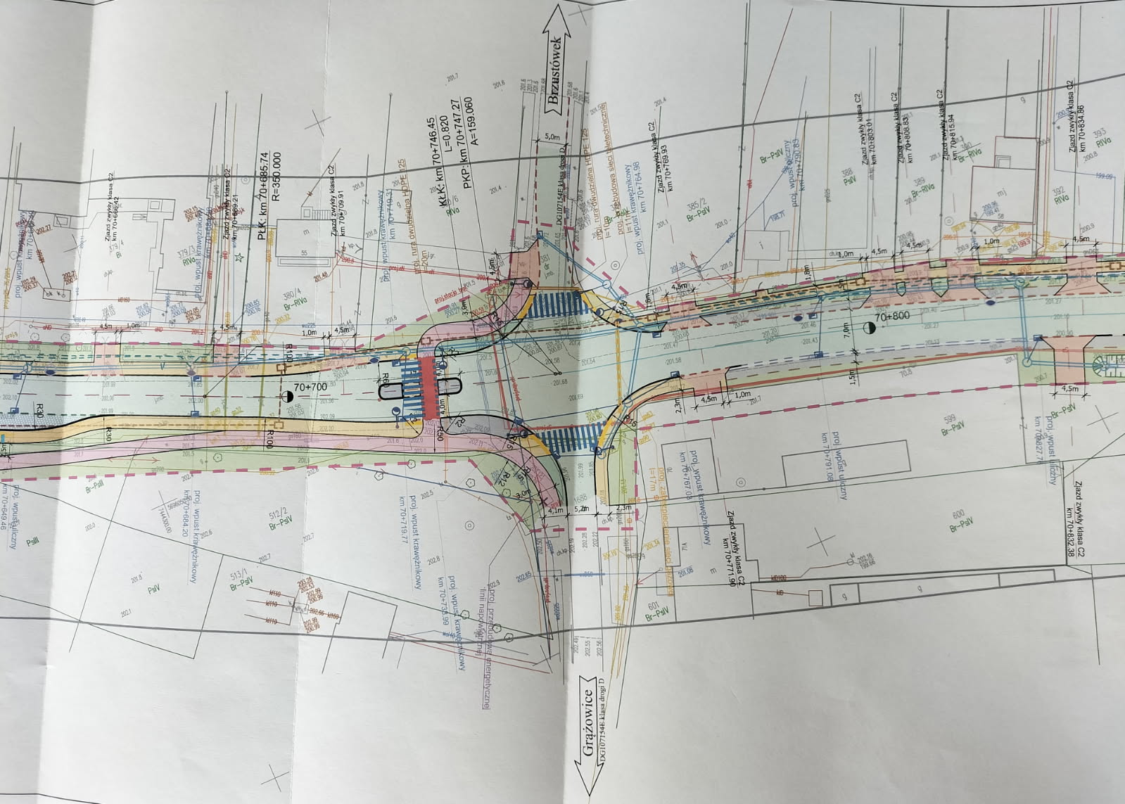
W siedzibie Zarządu Dróg Wojewódzkich w Łodzi w dniu 9 września br. odbyło się posiedzenie rady technicznej w celu omówienia projektu rozbudowy drogi wojewódzkiej nr 713 na odcinku Kunice – Gawrony (od skrzyżowania z drogą gminną Kunice – Prymusowa Wola do skrzyżowania z drogą gminną Gawrony – Brzustówek).
Projekt przewiduje poszerzenie drogi do 7m, wykonanie ciągu pieszo - rowerowego z jednej strony i chodnika z drugiej oraz zatok autobusowych, kanalizacji deszczowej, przejść dla pieszych i przejazdów dla rowerów.
Przejdź do - aktualność Poprzednia
Przejdź do - aktualność Następna
Pobierz artykuł w formie pliku Pdf Drukuj treść tego artykułu
Powrót do poprzedniej strony
Kontakt na stronie Kontakt
29 Gru Data publikacji, 29.12.2025 , spopoczno Autor, spopoczno , 37 Ilość wyświetleń, 37
Marznące opady w powiecie opoczyńskim
29.12.2025 Data publikacji, 29.12.2025 , spopoczno Autor, spopoczno , 37 Ilość wyświetleń, 37
Marznące opady w powiecie opoczyńskim
Marznące opady w powiecie opoczyńskim
Marznące opady w powiecie opoczyńskim
Marznące opady w powiecie opoczyńskim
kliknij, aby przejść do dalszej części informacji
23 Gru Data publikacji, 23.12.2025 , spopoczno Autor, spopoczno , 141 Ilość wyświetleń, 141
Zawiadomienie o XXVIII Sesji Rady...
23.12.2025 Data publikacji, 23.12.2025 , spopoczno Autor, spopoczno , 141 Ilość wyświetleń, 141
Zawiadomienie o XXVIII Sesji Rady Powiatu Opoczyńskiego VII kadencji
Zawiadomienie o XXVIII Sesji Rady Powiatu Opoczyńskiego VII kadencji
Zawiadomienie o XXVIII Sesji Rady Powiatu Opoczyńskiego VII kadencji, która odbędzie się w dniu 29 grudnia 2025 r. (poniedziałek) o godzinie 1330 w Starostwie Powiatowym w Opocznie /ul. Kwiatowa 1a, sala konferencyjna, II piętro/. Porządek obrad 1...
Zawiadomienie o XXVIII Sesji Rady Powiatu Opoczyńskiego VII kadencji, która odbędzie się w dniu 29 grudnia 2025 r. (poniedziałek) o godzinie 1330 w Starostwie Powiatowym w Opocznie /ul. Kwiatowa 1a, sala konferencyjna, II piętro/. Porządek obrad 1...
kliknij, aby przejść do dalszej części informacji
23 Gru Data publikacji, 23.12.2025 , spopoczno Autor, spopoczno , 102 Ilość wyświetleń, 102
Oblodzenia w powiecie opoczyńskim
23.12.2025 Data publikacji, 23.12.2025 , spopoczno Autor, spopoczno , 102 Ilość wyświetleń, 102
Oblodzenia w powiecie opoczyńskim
Oblodzenia w powiecie opoczyńskim
kliknij, aby przejść do dalszej części informacji
1 Wybierz element 1
2 Wybierz element 2
3 Wybierz element 3
4 Wybierz element 4
5 Wybierz element 5
6 Wybierz element 6
23 Gru Data publikacji, 23.12.2025 , spopoczno Autor, spopoczno , 141 Ilość wyświetleń, 141
Zawiadomienie o XXVIII Sesji Rady...
23.12.2025 Data publikacji, 23.12.2025 , spopoczno Autor, spopoczno , 141 Ilość wyświetleń, 141
Zawiadomienie o XXVIII Sesji Rady Powiatu Opoczyńskiego VII kadencji
Zawiadomienie o XXVIII Sesji Rady Powiatu Opoczyńskiego VII kadencji
Zawiadomienie o XXVIII Sesji Rady Powiatu Opoczyńskiego VII kadencji, która odbędzie się w dniu 29 grudnia 2025 r. (poniedziałek) o godzinie 1330 w Starostwie Powiatowym w Opocznie /ul. Kwiatowa 1a, sala konferencyjna, II piętro/. Porządek obrad 1...
Zawiadomienie o XXVIII Sesji Rady Powiatu Opoczyńskiego VII kadencji, która odbędzie się w dniu 29 grudnia 2025 r. (poniedziałek) o godzinie 1330 w Starostwie Powiatowym w Opocznie /ul. Kwiatowa 1a, sala konferencyjna, II piętro/. Porządek obrad 1...
kliknij, aby przejść do dalszej części informacji
23 Gru Data publikacji, 23.12.2025 , spopoczno Autor, spopoczno , 102 Ilość wyświetleń, 102
Oblodzenia w powiecie opoczyńskim
23.12.2025 Data publikacji, 23.12.2025 , spopoczno Autor, spopoczno , 102 Ilość wyświetleń, 102
Oblodzenia w powiecie opoczyńskim
Oblodzenia w powiecie opoczyńskim
kliknij, aby przejść do dalszej części informacji
23 Gru Data publikacji, 23.12.2025 , spopoczno Autor, spopoczno , 98 Ilość wyświetleń, 98
INFORMACJA DOTYCZĄCA ZMIANY TERMINU...
23.12.2025 Data publikacji, 23.12.2025 , spopoczno Autor, spopoczno , 98 Ilość wyświetleń, 98
INFORMACJA DOTYCZĄCA ZMIANY TERMINU DYŻURU NIEODPŁATNEJ POMOCY PRAWNEJ PRZYPADAJĄCEGO W DNIU 2 STYCZNIA 2026 ROKU W URZĘDZIE MIEJSKIM W BIAŁACZOWIE
INFORMACJA DOTYCZĄCA ZMIANY TERMINU DYŻURU NIEODPŁATNEJ POMOCY PRAWNEJ PRZYPADAJĄCEGO W DNIU 2 STYCZNIA 2026 ROKU W URZĘDZIE MIEJSKIM W BIAŁACZOWIE
kliknij, aby przejść do dalszej części informacji
23 Gru Data publikacji, 23.12.2025 , spopoczno Autor, spopoczno , 97 Ilość wyświetleń, 97
XIV Opoczyńskie Spotkanie Wigilijne
23.12.2025 Data publikacji, 23.12.2025 , spopoczno Autor, spopoczno , 97 Ilość wyświetleń, 97
XIV Opoczyńskie Spotkanie Wigilijne
XIV Opoczyńskie Spotkanie Wigilijne
W niedzielne popołudnie 21 grudnia 2025 roku Zespół Szkół Powiatowych im. Stanisława Staszica w Opocznie wypełnił się atmosferą ciepła, radości i wzajemnej życzliwości. Wszystko za sprawą XIV Opoczyńskiego Spotkania Wigilijnego, które po raz kolejny...
W niedzielne popołudnie 21 grudnia 2025 roku Zespół Szkół Powiatowych im. Stanisława Staszica w Opocznie wypełnił się atmosferą ciepła, radości i wzajemnej życzliwości. Wszystko za sprawą XIV Opoczyńskiego Spotkania Wigilijnego, które po raz kolejny...
kliknij, aby przejść do dalszej części informacji
19 Gru Data publikacji, 19.12.2025 , spopoczno Autor, spopoczno , 167 Ilość wyświetleń, 167
Wigilia Hubalowa – tradycja, która...
19.12.2025 Data publikacji, 19.12.2025 , spopoczno Autor, spopoczno , 167 Ilość wyświetleń, 167
Wigilia Hubalowa – tradycja, która jednoczy pokolenia
Wigilia Hubalowa – tradycja, która jednoczy pokolenia
Wigilia Hubalowa ponownie zgromadziła szerokie grono uczestników, łącząc środowiska oświatowe oraz mieszkańców powiatu opoczyńskiego i gminy Poświętne. To wyjątkowe wydarzenie stało się okazją do wspólnego przeżywania wartości, które od lat budują...
Wigilia Hubalowa ponownie zgromadziła szerokie grono uczestników, łącząc środowiska oświatowe oraz mieszkańców powiatu opoczyńskiego i gminy Poświętne. To wyjątkowe wydarzenie stało się okazją do wspólnego przeżywania wartości, które od lat budują...
kliknij, aby przejść do dalszej części informacji
19 Gru Data publikacji, 19.12.2025 , spopoczno Autor, spopoczno , 105 Ilość wyświetleń, 105
INFORMACJA DOTYCZĄCA ZMIANY TERMINU...
19.12.2025 Data publikacji, 19.12.2025 , spopoczno Autor, spopoczno , 105 Ilość wyświetleń, 105
INFORMACJA DOTYCZĄCA ZMIANY TERMINU DYŻURU NIEODPŁATNEJ POMOCY PRAWNEJ PRZYPADAJĄCEGO W DNIU 2 STYCZNIA 2026 ROKU W STAROSTWIE POWIATOWYM W OPOCZNIE
INFORMACJA DOTYCZĄCA ZMIANY TERMINU DYŻURU NIEODPŁATNEJ POMOCY PRAWNEJ PRZYPADAJĄCEGO W DNIU 2 STYCZNIA 2026 ROKU W STAROSTWIE POWIATOWYM W OPOCZNIE
kliknij, aby przejść do dalszej części informacji